【売土地】広島県福山市瀬戸町 1,340〜1,360万円

目次
現地内覧予約
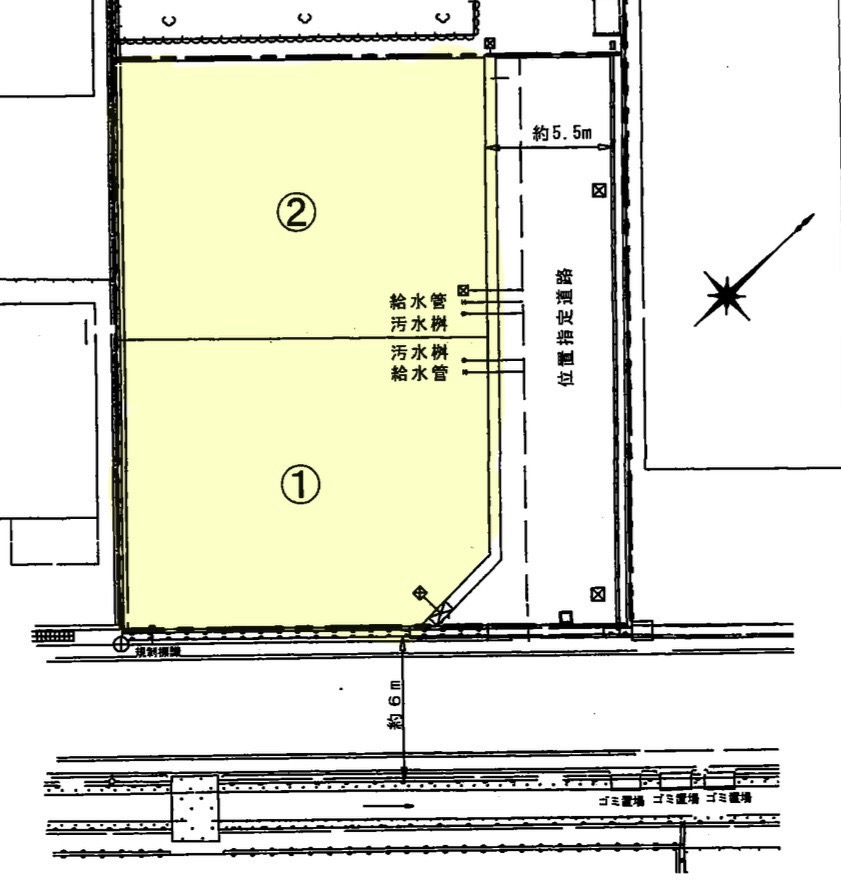
広島県福山市瀬戸町
売土地 物件概要
| お問い合わせ番号 | 084 |
| 所在地 | 福山市瀬戸町 |
| 価格 | 1,340万円〜1,360万円 |
| 土地面積 | 190㎡\57坪 |
| 用途地域 | 第1種住居地域 |
| 都市計画 | 市街化区域 |
| 容積率 | 200% |
| 建蔽率 | 60% |
| 校区 | 瀬戸小学校・済美中学校 |
| 土地権利 | 所有権 |
| 地目 | 宅地 |
| 建築確認番号 | – |
| 引渡日 | 相談 |
| 取引態様 | 一般 |
| 【ᴘᴏɪɴᴛ】 | ・57坪のゆとりある敷地で平屋や広い庭も実現しやすい ・建築条件なしのためお好きなハウスメーカーで建築可能 ・第1種住居地域で住環境と利便性のバランスが良い立地 ・市街化区域内でインフラが整いやすく安心 ・建蔽率60%・容積率200%でプランの自由度が高い ・整形地として活用しやすい土地形状 ・複数区画のため予算や好みに合わせて選択可能 ・閑静な住宅街で落ち着いた暮らしが叶う ・前面道路もゆとりがあり駐車計画がしやすい ・駐車スペースを複数台確保しやすい広さ ・家庭菜園やドッグランなど多用途に活用可能 ・日当たりを確保しやすく明るい住まいを実現 ・エブリィ瀬戸店まで車約3分で日常の買い物が便利 ・コンビニも車圏内にあり急なお買い物にも対応可能 ・クリニックが近く万が一の時も安心 ・保育所が近く子育て世帯にもおすすめの立地 ・瀬戸小学校まで徒歩圏内で通学も安心 ・済美中学校区で教育環境も整っている ・福山市中心部へのアクセスも良好なエリア ・将来的な資産性も期待できる人気の瀬戸町エリア |
| 【周辺環境】 | 🛒エブリィ瀬戸店・・・車約3分(850m) 🏪ファミリーマート赤坂店・・・車で約6分(2,300m) 🏥さいきじんクリニック・・・車で約4分(1,200m) 🏫長和保育所・・・車で2分(700m) 🏫瀬戸小学校・・・徒歩約14分(900m) 🏫済美中学校・・・徒歩約22分(1,500m) |
現地内覧予約
-
URLをコピーしました!












