【売土地】広島県福山市今津町 2〜4号地 1,320万円

目次
現地内覧予約
広島県福山市今津町
売土地 物件概要
| お問い合わせ番号 | 782 |
| 所在地 | 福山市今津町 |
| 価格 | 1,330万円 |
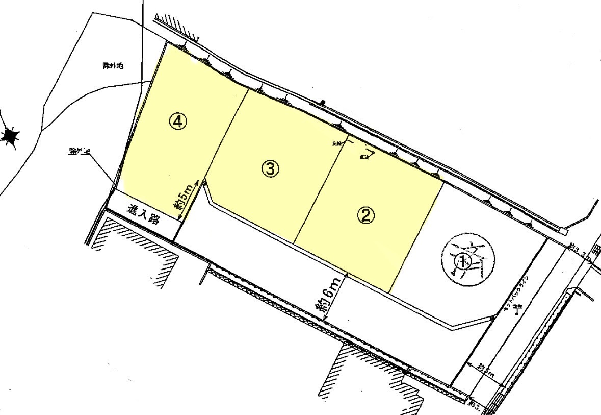
| 土地面積 | 2号地 165.13㎡\49.95坪 3号地 162.00㎡\49.00坪 4号地 167.55㎡\50.68坪 |
| 用途地域 | 第一種住居地域 |
| 都市計画 | 市街化区域 |
| 容積率 | 200% |
| 建蔽率 | 60% |
| 校区 | 遺芳丘小学校・松永中学校 |
| 土地権利 | 所有権 |
| 地目 | 宅地 |
| 建築確認番号 | – |
| 引渡日 | 相談 |
| 取引態様 | 一般 |
| 【ᴘᴏɪɴᴛ】 | ・建築条件なしで自由設計が可能🏠🔨 ・お好きなハウスメーカー、工務店で建築OK🙆🏻♀️ ・全区画50坪前後でゆとりある敷地 ・平屋・2階建てどちらも検討しやすいサイズ感 ・市街化区域で住宅用地として安心 ・第一種住居地域で落ち着いた住環境🌿 ・整形地が多く建物配置がしやすい ・駐車場2〜3台分も確保しやすい🚗 ・前面道路があり車の出入りがスムーズ ・分譲地のため周辺環境が整いやすい ・土地権利は所有権で安心 ・更地渡しのためすぐに建築計画が可能 ・引渡し時期は相談可能で柔軟対応 ・ラ・ムー松永店まで車4分で買い物便利🛒🥦🍋 ・コンビニが近く急な買い物も安心🏪 ・病院が近く、子育て世帯や高齢の方も安心🏥😮💨 ・保育所が近く共働き世帯にもおすすめ👶🏻 ・小学校・中学校ともに徒歩圏内🏫 ・通学距離が短くお子様の負担が少ない ・今津町エリアで将来性も期待できる立地 |
| 【周辺環境】 | 🛒ラ・ムー松永店・・車で4分(950m) 🏪セブンイレブン西藤インター店・・・車で4分(950m) 🏥田川内科医院・・・車で2分(600m) 🏫高西保育所・・・車で2分(550m) 🏫遺芳丘小学校・・・徒歩15分(1,000m) 🏫松永中学校・・・徒歩14分(1,000m) |
現地内覧予約
-
URLをコピーしました!











